Theo dự báo, trước khi đổ bộ vào khu vực Quảng Ninh - Hải Phòng, siêu bão Ragasa (bão số 9) suy yếu nhanh và giảm ít nhất 7 cấp do ma sát với đất liền Trung Quốc và ảnh hưởng của không khí lạnh.
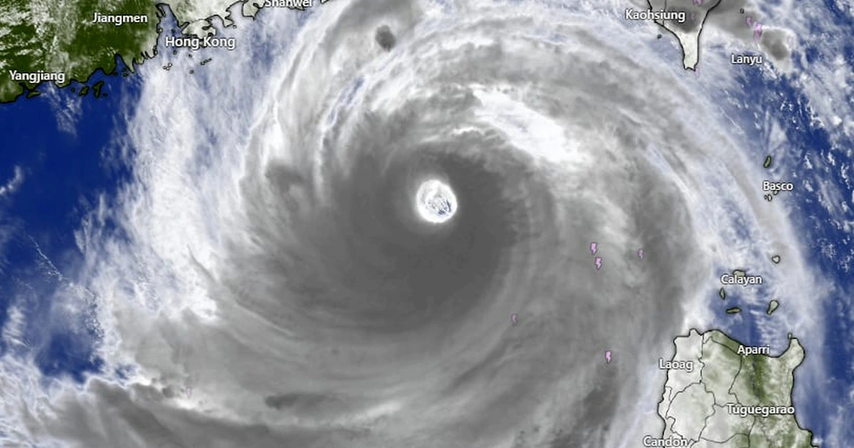
Trung tâm Dự báo khí tượng thủy văn quốc gia cho biết, lúc 10 giờ ngày 23.9, vị trí tâm siêu bão Ragasa (bão số 9) ở khoảng 20,2 độ vĩ bắc; 117,7 độ kinh đông, trên vùng biển phía đông bắc khu vực bắc Biển Đông.
Bão mạnh cuối cấp 16, đầu cấp 17 (184 - 221 km/giờ), giật trên cấp 17.
Như vậy, so với sáng nay, siêu bão Ragasa đã bắt đầu suy yếu. Trong 24 giờ tiếp theo, siêu bão di chuyển theo hướng tây tây bắc, tốc độ khoảng 20 km/giờ, hướng vào đất liền Trung Quốc.
Đến 10 giờ ngày 24.9, vị trí siêu bão ở vào khoảng 21,7 độ vĩ bắc; 113,4 độ kinh đông; cách bán đảo Lôi Châu (Trung Quốc) khoảng 340 km về phía đông. Siêu bão mạnh cấp 15 - 16, giật trên cấp 17, di chuyển theo hướng tây tây bắc, mỗi giờ đi được 20 - 25 km.
Sau khi đổ bộ vào Trung Quốc, bão Ragasa ma sát với đất liền và chịu ảnh hưởng của khối không khí lạnh nên suy yếu rất nhanh rồi đi vào vịnh Bắc bộ. Đặc biệt, trước khi đổ bộ vào miền Bắc, bão Ragasa chỉ còn cấp 10, giật cấp 12 (giảm 7 cấp so với hiện tại).
Khoảng 10 giờ ngày 25.9, vị trí tâm bão ở vào khoảng 21,5 độ vĩ bắc; 108,5 độ kinh đông; trên vùng biển Quảng Ninh - Hải Phòng. Bão mạnh cấp 10, giật cấp 12, đi sâu vào đất liền 2 tỉnh trên theo hướng tây, mỗi giờ đi được 20 - 25 km, rồi suy yếu thành áp thấp nhiệt đới.
Đến 22 giờ ngày 25.9, áp thấp nhiệt đới ở vào khoảng 21,1 độ vĩ bắc; 105,9 độ kinh đông; trên đất liền khu vực đồng bằng và trung du Bắc bộ. Áp thấp nhiệt đới mạnh cấp 6, giật cấp 8, tiếp tục suy yếu thành vùng thấp.
Đề phòng giông, lốc trước khi siêu bão Ragasa (bão số 9) đổ bộ
Do ảnh hưởng của siêu bão Ragasa (bão số 9), khu vực bắc Biển Đông gió cấp 10 - 14, gần tâm bão cấp 15 - 17, giật trên cấp 17; sóng cao trên 10 m, biển động dữ dội.
Từ ngày 24.9, phía đông vịnh Bắc bộ (Bạch Long Vĩ) gió tăng dần cấp 6 - 7, giật cấp 9. Tối và đêm 24.9, toàn vịnh Bắc bộ gió cấp 8 - 9, gần tâm bão cấp 10 - 12, giật cấp 14; sóng cao 4 - 6 m, biển động dữ dội.
Ven biển Quảng Ninh - Hải Phòng nước dâng do bão 0,5 - 1 m, nguy cơ sạt lở đê, kè, thiệt hại nuôi trồng thủy sản, tàu thuyền neo đậu.
Trên đất liền từ sáng 25.9, ven biển Quảng Ninh - Thanh Hoá gió mạnh dần cấp 6 - 7, sau tăng cấp 8, gần tâm bão cấp 9 - 10, giật cấp 12; khu vực Đông Bắc bộ có gió cấp 6 - 7, giật cấp 8 - 9.
Từ đêm 24 - 26.9, ở khu vực miền Bắc, Thanh Hóa và Nghệ An có mưa to đến rất to với lượng mưa phổ biến 100 - 250 mm, có nơi trên 400 mm. Đề phòng mưa với cường suất lớn gây ngập úng đô thị.
Cơ quan khí tượng cảnh báo, do hoàn lưu của siêu bão Ragasa rất rộng, cần đề phòng giông, lốc, gió giật mạnh trước và trong khi bão đổ bộ.














