Sáng 22.9, Bộ Tổng tham mưu Quân đội nhân dân Việt Nam có công điện hỏa tốc gửi các đơn vị trong Bộ Quốc phòng về việc chủ động ứng phó với siêu bão Ragasa sắp đi vào Biển Đông.
Theo đó, để chủ động ứng phó với siêu bão Ragasa, Bộ Tổng tham mưu Quân đội nhân dân Việt Nam yêu cầu các cơ quan, đơn vị trong quân đội duy trì nghiêm chế độ ứng trực, chủ động theo dõi nắm chắc tình hình diễn biến của bão; chuẩn bị lực lượng, phương tiện sẵn sàng ứng phó kịp thời, hiệu quả khi có tình huống xảy ra; bảo đảm tuyệt đối an toàn về người và phương tiện khi thực hiện nhiệm vụ.
Các quân khu: 1, 2, 3, 4, 5 chỉ đạo Bộ Chỉ huy quân sự các tỉnh, thành phố duy trì nghiêm chế độ trực Tổng đài 112, chủ động tham mưu với cấp ủy, chính quyền địa phương, kiểm tra, rà soát các khu vực trọng điểm có nguy cơ xảy ra lũ ống, lũ quét, sạt lở đất, sạt lở bờ sông, bờ suối, khu vực thấp trũng, hỗ trợ nhân dân chằng chống nhà cửa, di dời ra khỏi khu vực nguy hiểm; chỉ đạo các đơn vị thuộc quyền, phối hợp với các đơn vị đứng chân trên địa bàn sẵn sàng lực lượng, phương tiện giúp chính quyền và nhân dân địa phương ứng phó, khắc phục hậu quả và tìm kiếm cứu nạn.
Bộ Tư lệnh Bộ đội biên phòng chỉ đạo Ban Chỉ huy Bộ đội biên phòng các tỉnh, thành phố ven biển từ Quảng Ninh đến Lâm Đồng, theo dõi chặt chẽ diễn biến của bão; phối hợp với chính quyền địa phương và các cơ quan chức năng quản lý chặt chẽ các phương tiện, tổ chức kiểm đếm, thông báo kịp thời cho chủ các phương tiện, thuyền trưởng các tàu, thuyền đang hoạt động trên biển biết vị trí, hướng di chuyển và diễn biến của bão để di chuyển tránh, trú hoặc không đi vào khu vực nguy hiểm. Hướng dẫn sắp xếp neo đậu tàu, thuyền tại nơi tránh trú an toàn.
Quân chủng Hải quân, Cảnh sát biển Việt Nam chỉ đạo các cơ quan, đơn vị thuộc quyền triển khai các biện pháp bảo đảm an toàn; sẵn sàng lực lượng, phương tiện tìm kiếm, cứu nạn khi có tình huống xảy ra trên biển, đảo.
Quân chủng Phòng không - Không quân, Binh đoàn 18 kiểm tra, rà soát kế hoạch, tổ chức lực lượng, phương tiện sẵn sàng thực hiện bay tìm kiếm cứu hộ, cứu nạn đường không khi có lệnh của bộ.
Binh chủng Thông tin liên lạc bảo đảm thông tin liên lạc kịp thời, thông suốt phục vụ công tác chỉ đạo, điều hành của Thủ trưởng Bộ Quốc phòng với Chính phủ và các cơ quan, đơn vị liên quan; sẵn sàng các phương án bảo đảm thông tin liên lạc phục vụ công tác cứu hộ, cứu nạn, đặc biệt là những khu vực bị chia cắt.
Tập đoàn Công nghiệp - Viễn thông quân đội phối hợp Cục Cứu hộ, cứu nạn, Cục Bưu điện T.Ư và các cơ quan đơn vị liên quan bảo đảm đường truyền internet và các điều kiện cần thiết khác bảo đảm kết nối trực tuyến phục vụ chỉ đạo, điều hành theo kịch bản của Chính phủ khi thiết lập Sở Chỉ huy tiền phương...
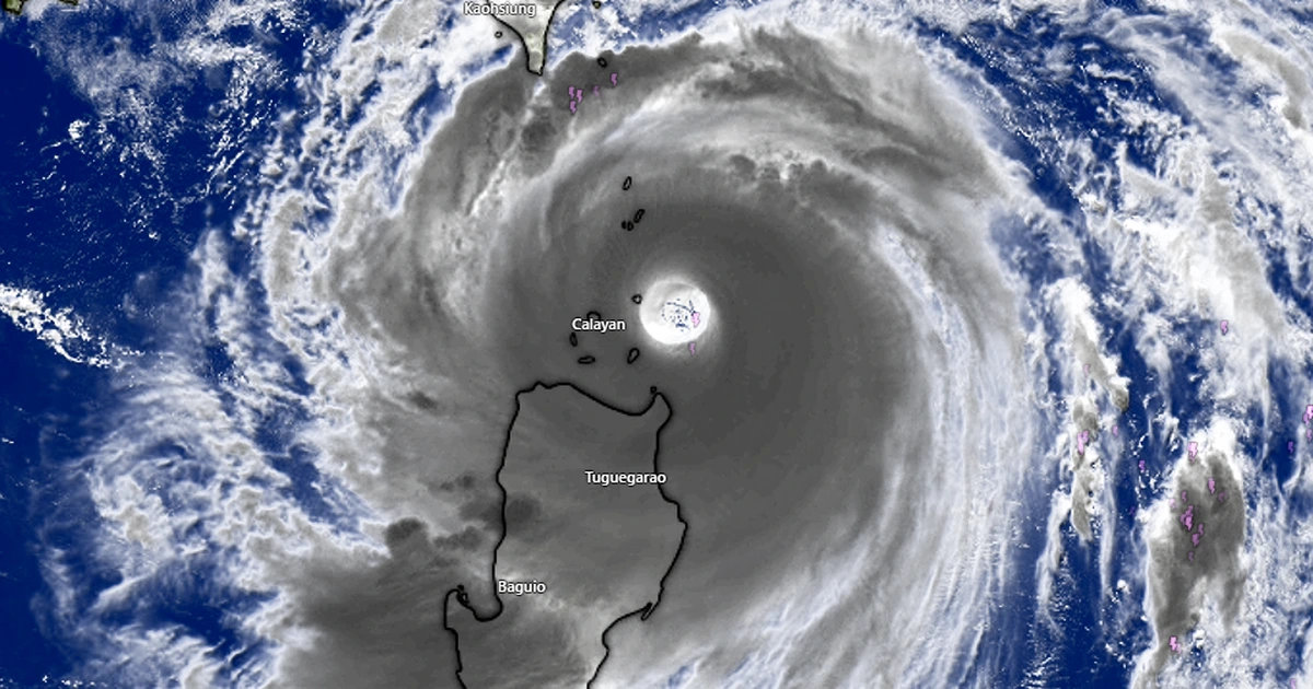
Siêu bão Ragasa mạnh nhất Biển Đông năm 2025
Theo Trung tâm Dự báo khí tượng thủy văn quốc gia, bão Ragasa sau khi đạt cường độ siêu bão trong chiều 21.9 đã tiếp tục mạnh lên 1 cấp và dự báo còn tiếp tục mạnh lên.
Lúc 1 giờ sáng nay 22.9, vị trí tâm siêu bão Ragasa ở vào khoảng 19,2 độ vĩ bắc và 124,1 độ kinh đông, cách đảo Luzon (Philippines) khoảng 230 km về phía đông đông bắc.
Vùng gần tâm bão, sức gió mạnh nhất ở cấp 16 - cấp 17, tương đương tốc độ gió từ 184 - 221 km/giờ, giật trên cấp 17. Hiện nay, siêu bão Ragasa di chuyển theo hướng tây tây bắc với tốc độ khoảng 20 km/giờ.
Theo Trung tâm Dự báo khí tượng thủy văn quốc gia, khoảng tối nay 22.9, siêu bão Ragasa sẽ di chuyển vào Biển Đông và trở thành cơn bão số 9 trong năm nay, sau đó di chuyển nhanh theo hướng tây tây bắc, tốc độ khoảng 20 km/giờ.
Bão Ragasa khi vào Biển Đông sẽ mạnh cấp 17, cấp siêu bão. Đây sẽ là cơn bão mạnh nhất trên Biển Đông từ đầu mùa bão 2025.















