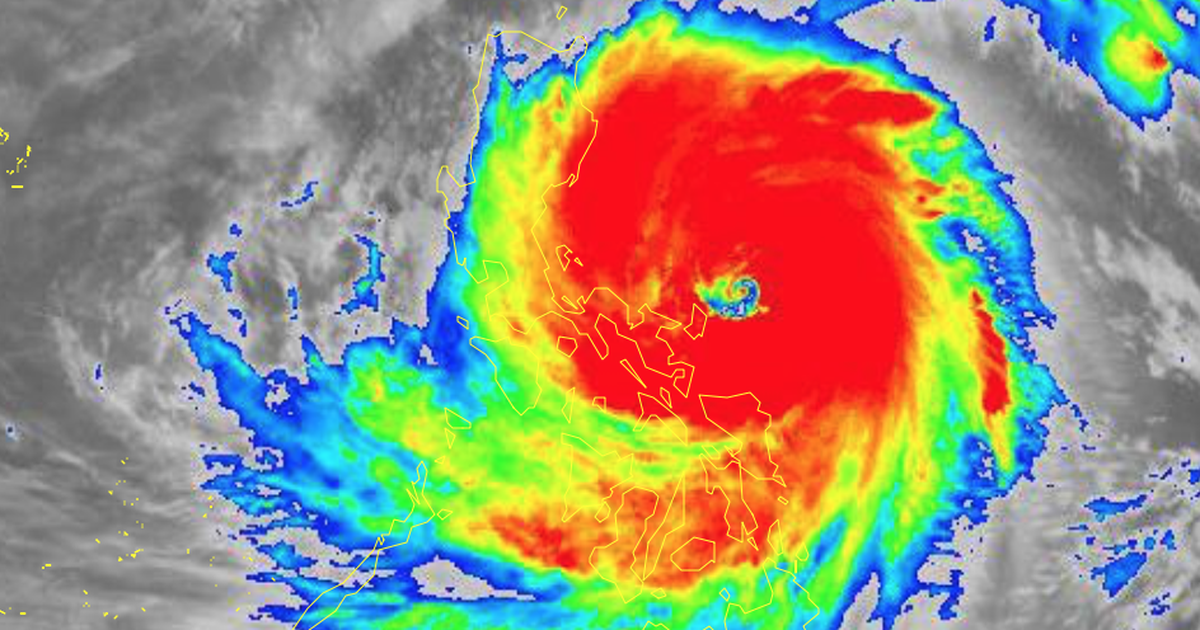
Bão Fung wong đang đạt cường độ cực đại - cấp 15 giật trên cấp 17 trước khi đổ bộ vào đảo Luzon của Philippines. Do ảnh hưởng của bão, hôm nay khu vực bắc Biển Đông có sóng cao đến 10 m, biển động dữ dội.
Trung tâm Dự báo khí tượng thủy văn quốc gia (NCHMF) cho biết: Hồi 1 giờ hôm nay (9.11), vị trí tâm bão Fung wong ở vào khoảng 13,7 độ vĩ bắc và 126,4 độ kinh đông. Sức gió mạnh nhất vùng gần tâm bão mạnh cấp 15 (167 - 183 km/giờ), giật trên cấp 17. Di chuyển theo hướng tây tây bắc, tốc độ khoảng 30 km/giờ, sắp đổ bộ vào Philippines.
Đến 1 giờ ngày 10.11, trên khu vực đảo Luzon của Philippines bão Fung wong mạnh cấp 14 giật cấp 17 và tiếp tục di chuyển với tốc độ từ 25 - 30 km/giờ. Sau đó vào khu vực phía đông bắc Biển Đông trở thành cơn bão số 14. Vào 1 giờ ngày 11.11, bão số 14 suy yếu còn cấp 13 giật cấp 16, tốc độ di chuyển cũng giảm còn 10 - 15 km/giờ.
Sau khi vào Biển Đông bão Fung wong có chuyển hướng di chuyển lệch về phía bắc nhiều hơn. Khi đi lên vĩ độ cao hơn, bão sẽ đi vào dòng dẫn đường của đới gió tây trên cao nên nhiều khả năng đổi hướng theo hướng đông bắc và đi ra khỏi Biển Đông về hướng đảo Đài Loan.
Như vậy, bão Fung wong không đạt cấp siêu bão như các dự báo trước đó nhưng lại diễn biến bất thường. Thông thường, vào cuối mùa các cơn bão thường di chuyển theo hướng tây, thậm chí là tây tây nam và đổ bộ vào các tỉnh phía nam miền Trung. Tuy nhiên, bão Fung wong lại di chuyển lên phía bắc và đi ra ngoài, đây chính là điểm bất thường của cơn bão này.
Do ảnh hưởng của bão số 14 (Fung wong) vùng biển phía đông khu vực bắc Biển Đông có gió mạnh cấp 6 - 7, sau tăng lên cấp 8 - 10; vùng gần tâm bão mạnh cấp 11 - 13, giật cấp 16, sóng biển cao 4 - 6 m, sau tăng lên 6 - 8 m, vùng gần tâm bão 8 - 10 m. biển động dữ dội.
Cảnh báo, trong khoảng ngày 10 - 12.11, vùng biển phía đông khu vực bắc Biển Đông có khả năng chịu tác động của gió bão mạnh cấp 11 - 13, giật cấp 16, sóng biển cao 8 - 10 m, biển động dữ dội. Toàn bộ thuyền hoạt động trong các vùng nguy hiểm nói trên đều có khả năng chịu tác động của dông, lốc, gió mạnh, sóng lớn.
Ngoài ra, vùng biển từ Cà Mau đến An Giang và vịnh Thái Lan có mưa rào và giông rải rác; trong mưa giông có khả năng xảy ra lốc xoáy và gió giật mạnh.















